DeFuniak Springs, FL 32435
Property Inquiry
Contact Tina Marsh about this property!
Property Details
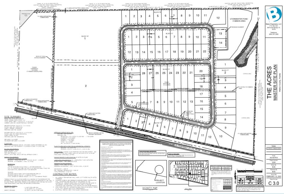
DEVELOPMENT ORDER IN HAND. This is an opportunity to purchase all 87 lots as paper lots. Option for purchasing all 87 finished / pad ready lots, see MLS 984869. There are 2 other options to purchase finished lots: 1 to 9 lots @ $72,500 per lot or in increments of 10 at $68K per lot. The proposed new development is 5 minutes west of DeFuniak Springs on Hwy 90, consisting of 87 detached single family residential homes on approx. 59.73 acres. Septic will be used / permitted for each lot. Public water. The development will have 2 driveway connections to Hwy 90. Zoned Rural Village, Flood Zone X. According to wetland study on the total 64.61 acres (study done before commercial property split), .35 acres is wetland, located on the eastern boundary of the lot.
| COUNTY | Walton |
| SUBDIVISION | The Acres |
| PARCEL ID | 24-3N-20-28000-009-0000 |
| TYPE | Vacant Land |
| STYLE | N/A |
| ACREAGE | 60 |
| LOT ACCESS | Paved Road,U.S. Highway |
| LOT SIZE | irregular |
| HOA INCLUDE | N/A |
| HOA FEE | N/A |
| UTILITIES | Electric,Public Water,Septic Tank |
| PROJECT FACILITIES | N/A |
| ZONING | Resid Single Family,See Remarks |
| PARKING FEATURES | N/A |
| APPLIANCES | N/A |
| ENERGY | N/A |
| INTERIOR | N/A |
| EXTERIOR | N/A |
| ROOM DIMENSIONS | N/A |
Schools
Location & Map
From 331 North and US 90 in DeFuniak, Take Hwy 90 West about 5 miles property is on the right just before King Lake Rd.












